Chicago Riverwalk
Item
Linked resources
| Title | Class |
|---|---|
Chicago Riverwalk application |
|
Chicago Riverwalk case study |
- Title
- Chicago Riverwalk
- Description
-
2017 Rudy Bruner Award for Urban Excellence - Silver Medal
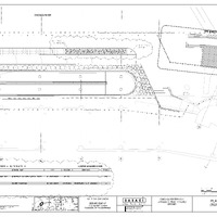
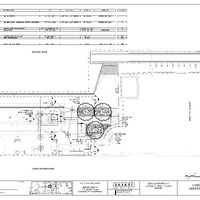
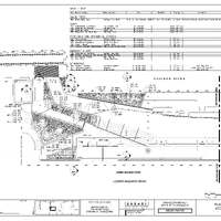
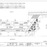
Phases 2 & 3 of Chicago’s Riverwalk transformed underutilized waterfront infrastructure into five distinct “rooms” connecting riverside amenities to the city. The project faced the technical challenge of lowering the Riverwalk to the river’s edge to enable boating and water recreation while creating a sustainable, flood-resilient landscape.
While design elements and materials provide a strong sense of continuity along the path, each of the five waterfront blocks offers a unique shape and programmatic approach to exploring the relationship between the river and the city. New waterfront amenities include art installations and events, educational programs and interpretive signage, restaurants and outdoor seating, kayak rentals, and piers and floating wetland gardens for interactive learning about the river’s ecology. The $95 million project covers 3.5 acres and was completed in October 2016. - Coverage
- Chicago, IL
- Date
- 2016
- Subject
- waterfronts
- environmental planning
- public spaces
- parks
- recreation areas
- Contributor
-
City of Chicago
- Contributor
- en Public Agency
-
Sasaki
- Contributor
- en Designer
-
Chicago Loop Alliance
- Contributor
- en Community Group
-
Friends of the Chicago River
- Contributor
- en Public Agency
-
Chicago Department of Transportation
- Contributor
- en Public Agency
- Rights
- This digital collection is made available for research and educational purposes. Researchers are responsible for determining copyright status, and securing permissions for use and publication of any material. Copyright for items in this collection may be held by the creators, their heirs, or assigns. Researchers are required to obtain written permission from copyright holders and the University Archives prior to reproducing or publishing materials, including images and quotations. For inquiries about reproduction requests and permissions, please contact the University Archives at: http://library.buffalo.edu/archives/.
Item: Chicago Riverwalk


